GÜNDEME BAKIŞ- Kültür ve Turizm Bakanlığı, İzmir 2 Numaralı Kültür Varlıklarını Koruma Bölge Kurulu’nun Menemen ilçesindeki önemli bir kültürel miras alanına yönelik kararını Resmî Gazete’de yayımladı.
KORUMA ALTINA ALINDI!
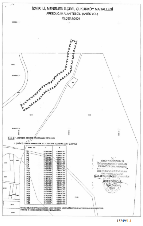
Kurulun 21 Ekim 2025 tarihli toplantısında (Toplantı No: 800 35.12/1040) alınan karara göre, Menemen ilçesi Çukurköy Mahallesi sınırları içinde yer alan ve Kurul Müdürlüğü uzmanlarınca tespiti yapılan antik yol, 1. derece arkeolojik sit alanı olarak tescil edildi.
Kararda, kamu orta malı mülkiyetindeki 185 ada 11 parsel ile tapulama harici alanda konumlanan bölgeye ilişkin daha önce alınan 29.07.2025 tarih ve 22479 sayılı kurul kararının gereği olarak kurum görüşlerinin toplandığı, uzman raporlarının incelendiği belirtildi. Kurul Müdürlüğü tarafından hazırlanan 21.10.2025 tarih ve 3780428 sayılı raporun değerlendirilmesi sonucu alanın korunması gerekli kültür varlığı niteliği taşıdığına hükmedildi.
Yapılan incelemeler ve görüşmeler doğrultusunda, antik yolun karar ekindeki haritada işaretlendiği şekliyle 1. derece arkeolojik sit olarak tescil edilmesine, tescil fişi ve haritanın uygun bulunduğuna oy birliğiyle karar verildi.

Verilen karar ise şu şekilde;
Kültür ve Turizm Bakanlığı, İzmir 2 Numaralı Kültür Varlıklarını Koruma Bölge Kurulu’nun Menemen ilçesindeki önemli bir kültürel miras alanına yönelik kararını Resmî Gazete’de yayımladı.
Kurulun 21 Ekim 2025 tarihli toplantısında (Toplantı No: 800 35.12/1040) alınan karara göre, Menemen ilçesi Çukurköy Mahallesi sınırları içinde yer alan ve Kurul Müdürlüğü uzmanlarınca tespiti yapılan antik yol, 1. derece arkeolojik sit alanı olarak tescil edildi.
Kararda, kamu orta malı mülkiyetindeki 185 ada 11 parsel ile tapulama harici alanda konumlanan bölgeye ilişkin daha önce alınan 29.07.2025 tarih ve 22479 sayılı kurul kararının gereği olarak kurum görüşlerinin toplandığı, uzman raporlarının incelendiği belirtildi. Kurul Müdürlüğü tarafından hazırlanan 21.10.2025 tarih ve 3780428 sayılı raporun değerlendirilmesi sonucu alanın korunması gerekli kültür varlığı niteliği taşıdığına hükmedildi.
Yapılan incelemeler ve görüşmeler doğrultusunda, antik yolun karar ekindeki haritada işaretlendiği şekliyle 1. derece arkeolojik sit olarak tescil edilmesine, tescil fişi ve haritanın uygun bulunduğuna oy birliğiyle karar verildi.






